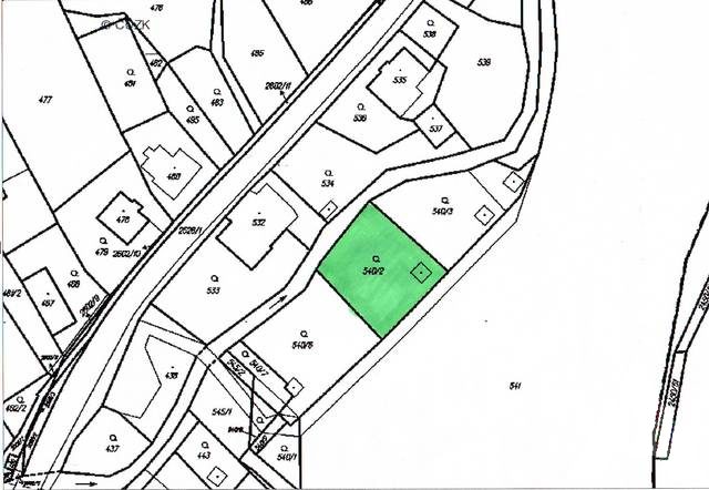
Prodej zahrady, Česká Ves, okres Jeseník
Nabízíme ke koupi zavedenou zahradu v obci Česká Ves v okrese Jeseník. Zahrada leží kousek od hlavní cesty spojující Jeseník s Mik Rozbalitulovicemi nedaleko od autobusové zahrádky v klidné části obce. Na zahrádce jsou vzrostlé ovocné i okrasné stromy, ja zde malý zahradní domek, vlastní zdroj vody. V bezprostředním okolí jsou další zahrádky, což zajišťuje dostatek klidu pro práci na zahrádce i relaxaci. Obec Česká Ves leží v severním podhůří pohoří Hrubý Jeseník (nejvyšší hora Praděd - 1492 m n. m.), v údolí řeky Bělé, v nadmořské výšce kolem 400 m. Jižní část obce přímo navazuje na okresní město Jeseník, severně je vzdálena od státní hranice s Polskem 13 km. Údolí je lemováno lesnatými kopci, které na severozápadní straně patří k výběžkům Rychlebských hor.
Další fotky(za nemovitost) 749 m2 celkem
| Stav nabídky: | |
| Číslo: | 10-2213 |
| Kategorie: | Zahrady - Pozemky |
Makléř
| Jméno | Operátorka AVAREAL |
| Telefon | 800107777 |
| info@avareal.cz |
